close
這個小寶貝在數天前開始精神食慾不好合併劇烈的嘔吐
主人去了幾家醫院開立腸胃藥後並無明顯改善
週一早上到康乃爾就診後
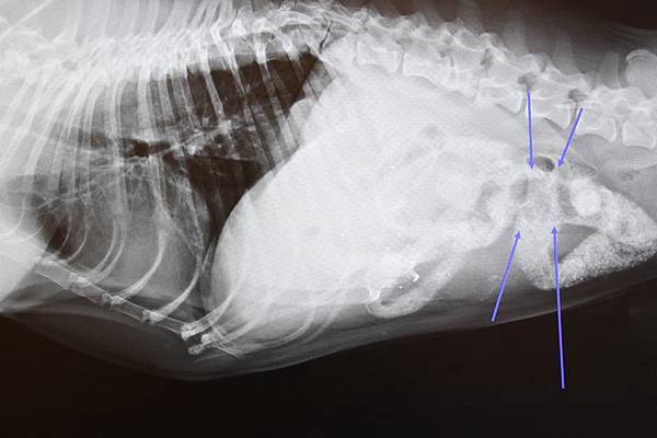
透過理學檢查及詳細的問診後高度懷疑為消化道異物阻塞
因此決定馬上安排進行消化道顯影劑連續攝影及抽血檢查

在經由影像診斷確診後和主人溝通下午立即進行腹腔手術
進入腹腔後很快地找到了阻塞的異物

切開後發現是一個大大的桃子核

由於阻塞多日造成大範圍的腸道壞死
所以當下決定進行移除後重新將正常的腸道二次吻

術後在細心的照顧下
這個小寶貝也很爭氣地在今天開始有食慾

謝謝主人第一時間對康乃爾的信賴
才能在第一時間做出正確的處置
救了小寶貝一命
加油喔
要平平安安的出院回家喔.
康乃爾動物醫院
全站熱搜
留言列表
